Мобильная версия сайта    
   
Где я нахожусь?
         

Крит. Подводный мир Эгейского моря Попытаться подобрать серию (одинаковое название и разные цифры в конце) к этой публикации
Выложено 20 Сентября 2014
Разное > Свои фотографии

Нет аватара
>50
  Прислал(a): pokazuha_user
  Добавить pokazuha_user в избранные авторы   Фотолента pokazuha_user 0
   Список публикаций
Версия для печати    Инфо и настройки  Мой цитатник
подводный мир,   море,   крит,   рыба,   куча-мала,   вода [все теги сайта]

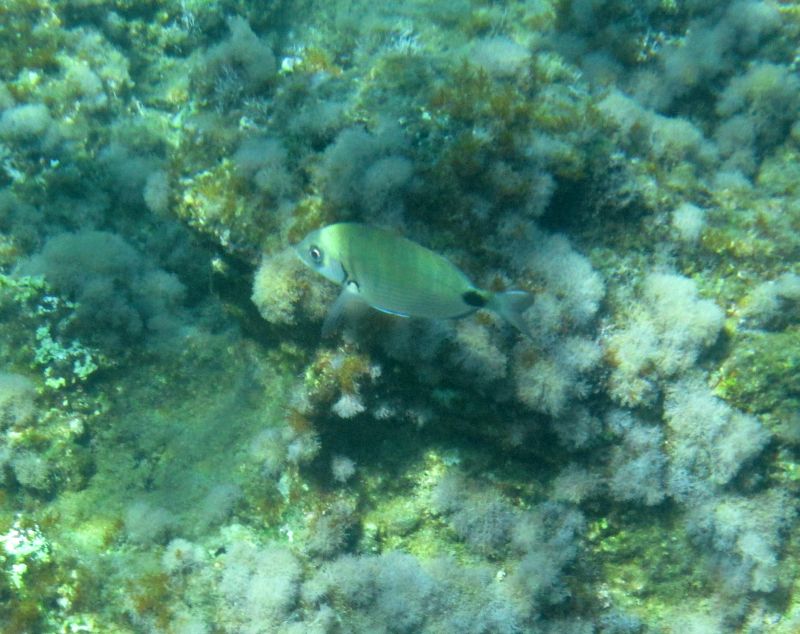
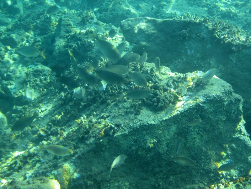
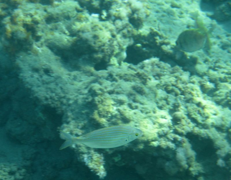
Фото сделаны этой осенью на недорогую "мыльницу" в аквабоксе. Вот кто обитает невдалеке от купающихся в море туристов! :) Еще видел там вечером мурену, но фото нет, к сожалению, так как камеру оставил на берегу. Кому тема интересна, смотрите другие публикации о подводном мире:

http://pokazuha.ru/view/topic.cfm?key_or=1166650

http://pokazuha.ru/view/topic.cfm?key_or=1112104

http://pokazuha.ru/view/topic.cfm?key_or=1112091

http://pokazuha.ru/view/topic.cfm?key_or=1112073

http://pokazuha.ru/view/topic.cfm?key_or=1031157

Этот checkbox служит для того чтобы отметить
несколько фото в публикации (если например понравились только
2 фото из 20). Используется в:
- добавить в заметки
- послать другу по e-mail
 
 
 
 
 
 
 
 
 
 
 
 
 
 
 
 
 
 
 
 
Понравилось? Поделись с друзьями:
поделиться публикацией на vk.com  поделиться публикацией на facebook  поделиться публикацией в telegram  поделиться публикацией в Whatsapp  поделиться публикацией в twitter  поделиться публикацией в Odnoklassniki  отправить другу по e-mail
Комментарии пользователей ( Добавить комментарий к публикации   Добавить комментарий к публикации )

Альтернативные названия публикации ( Моя версию названия публикации Я придумал(а) название лучше)

Жалобы ( Добавить жалобу на публикацию Сообщить о нарушениях правил в этой публикации)

1 2 3 4 5 6 7 8 9 10   11 12 12!
Pokazuha
часто смотрят
Pokazuha
часто смотрят
Pokazuha
часто смотрят


Еще...
 
Главная страница

Понравилось? Поделись с друзьями:
поделиться публикацией на vk.com  поделиться публикацией в telegram  поделиться публикацией в Whatsapp поделиться публикацией в Odnoklassniki  отправить другу по e-mail 




pokazuha.top НЕ является открытым ресурсом. Копирование материалов запрещено. Разрешены ссылки на публикации.
Ссылка: http://pokazuha.top/view/topic.cfm?key_or=1225504
HTML: <a href="http://pokazuha.top/view/topic.cfm?key_or=1225504">Крит. Подводный мир Эгейского моря </a>
ВВcode: [URL=http://pokazuha.top/view/topic.cfm?key_or=1225504]Крит. Подводный мир Эгейского моря [/URL]

 
   РЕДАКТИРОВАНИЕ названия,содержания, подписей к картинкам
 
 
Перейти на мобильную версию сайта